| Каталог | Сорта Семечковые культуры |
| Производитель | ФГБУН 'ВСЕРОССИЙСКИЙ НАЦИОНАЛЬНЫЙ НИИ ВИНОГРАДАРСТВА И ВИНОДЕЛИЯ 'МАГАРАЧ' НИЦ 'КУРЧАТОВСКИЙ ИНСТИТУТ' |
| Страна | Россия |
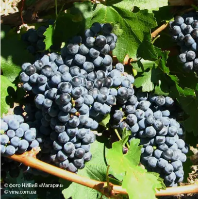
| Группа использования | Технический |
| Срок созревания | Средний |
| Урожайность | Высокая |
| Размер грозди | Крупная (500–800 г) |
| Размер ягоды | Очень крупная (>8 г) |
| Цвет ягоды | Синий |
| Вкус | Фруктовый |
| Содержание сахара | Высокое (>20%) |
| Требовательность к уходу | Стандартная агротехника |
| Назначение | Для вина |
| Год регистрации | 2014 |















